
2024.01.10. | 모알보알 | 파낙사마 비치 스노클링
모알보알 여행 마지막 날 아침이 밝았다.


11시에 막탄으로 출발할 예정이라
모알보알에서의 마지막 스노클링을 즐기기 위해 아침 일찍 일어났다.
아침으로 전날 스무스 카페에서 포장해 온 망고 샐러드와 컵라면을 먹었다.



그리고 스노클링 장비를 챙겨서 파낙사마 비치로 향했다.
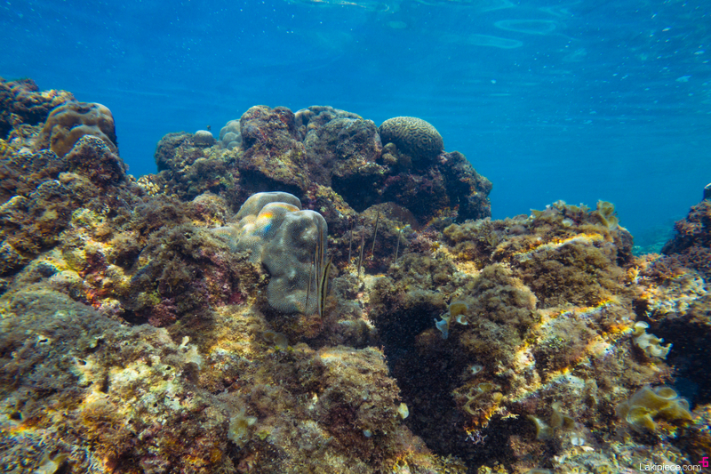
그동안 본 바다 중 물이 가장 많이 빠진 상태였다.
그래도 바닥이 고른 편이라 오리발을 신고 이동하는 것이 어렵지는 않았다.



전날 거북을 만났던 곳 근처를 열심히 돌아다녔다.



하지만 이번에는 거북과 인연이 없는 건지
열심히 찾아봤지만 결국 만나지 못했다.
아마 거북이 자주 나타나는 시간대가 있을 듯...?!



그래도 산호나 열대어들도 많고
수중 환경이 좋은 편이라 스노클링을 즐기기 좋았다.




오래간만에 맑은 날씨 덕분에
햇살이 바닷속 깊은 곳까지 닿아서 정말 예뻤다.



어딜가나 자주 보이는 검은 줄무늬 열대어
비슷하게 생긴 열대어들이 많은데 꼬리에 검은 줄무늬가 있는 것은
검은줄꼬리돔(Stripetail damselfish)이라고 하더라.


강렬한 파란색을 가진 열대어들도 보였다.




이른 아침부터 스쿠버 다이빙을 하는 사람들도 보였다.
보글보글보글



새끼 정어리들도 잔뜩!


노란색에 검은 줄무늬가 있는 이 열대어들은
상사줄자돔(Sergeant Major)이라는 이름을 가지고 있다.




절벽 아래는 바닥이 보이지 않는다.
아래를 내려다보고 있으면 괜히 무서운 기분이...ㄷㄷㄷ



치어들이 보금자리 삼고 있는 산호초도 보고



니모 비슷한(?) 열대어가 살고 있는 말미잘도 보고!
(실제 이름은 토마토 크라운 피쉬(Tomato Clownfish)입니다 ㅎㅎ)



한 시간 동안 즐거운 시간을 보냈다.


거북을 만나지 못한 것은 조금 아쉽지만 ㅎㅎ


이제는 숙소로 들어가서 체크아웃 준비를 해야 할 시간이었다.
언젠가 다시 또 방문할 때를 기약하며, 아디오스!
'해외여행 > 세부 2024' 카테고리의 다른 글
| 세부 | 블루워터 마리바고 비치 리조트, 아무마 스위트룸 (0) | 2025.07.20 |
|---|---|
| 세부 | 막탄 맛집투어?! 필리핀 전통 음식 전문점, 라부요(LABUYO) (0) | 2025.07.19 |
| 모알보알 | 모알보알 맛집투어! 바키 레스토바(BAKI Restobar) (0) | 2025.03.24 |
| 모알보알 | 모알보알에서 막탄으로 이동!(비공개) (0) | 2025.03.15 |
| 모알보알 | 모알보알 맛집투어! 베티스 그릴(Betsy's Grill) 재방문 (0) | 2025.03.06 |
| 모알보알 | 모알보알 맛집투어?! 중식 전문점, 헤케스 차이니즈 비스트로 (0) | 2025.03.04 |
| 모알보알 | 정어리 포인트, 준다이브 인근 스노클링 (0) | 2025.03.03 |
| 모알보알 | 거북이 포인트, 칠리바 인근 스노클링 (0) | 2025.03.02 |