
2023.08.06. | 코타키나발루 | 마무틱섬 호핑투어 - 점심식사, 앞바다 스노클링
두 번의 스노클링을 마친 후 마무틱 섬으로 향했다.


날씨가 좋아서 그런지 바다색이 정말 예뻤다.



위에서 보면 물고기들이 헤엄치는 모습들도 보였다.


Welcome to Mamutic Island!

가이드를 따라 식당으로 향했다.


투어에 점심 식사가 포함되어 있었는데,
메뉴 중에서 원하는 것을 하나 선택해서 주문하는 방식이었다.
(음료는 별도! 타이거 캔맥주가 15링깃이었다.)

무난해보이는 치킨 커리 라이스와 치킨 머쉬룸 라이스를 주문했다.

치킨 커리 라이스는 코코넛 크림이 들어가 있는 묽은 카레 느낌이었다.

그리고 치킨 머쉬룸 라이스는 향신료 향이 강한 편이었는데
생강 향이 강한 찜닭 느낌이었다.
두 음식 모두 먹다가 질려서 결국 남겼다;;

그나마 미리 챙겨간 컵라면이 있어서 다행...!
(2링깃을 내면 가져간 컵라면에 뜨거운 물을 부어준다.)

자유 시간 동안은 스노클링을 하기로 했다.
(짐은 테이블에 두면 가이드가 맡아준다고 했다.)


이미 물놀이를 즐기는 중인 사람들이 한가득이었다.


해변 가까운 곳은 수중 환경이 그리 좋지 않았다.
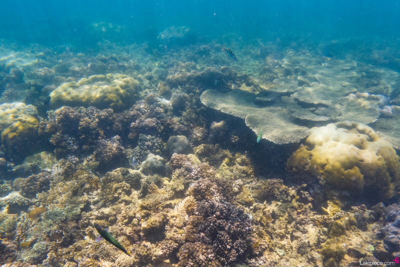
그래도 물고기들은 꽤 보이는 편!



조금 더 멀리 헤엄쳐 나가면 훨씬 다양한 산호와 물고기들을 볼 수 있었다.
(해변에서 어느 정도 떨어진 곳에 부표가 띄워져 있는데,
배가 부표 안쪽으로는 들어오지 않기 때문에 안전하게 스노클링을 즐길 수 있다.)




부표 근처까지 가니 수심이 꽤 깊은 곳도 있었다.



수중 환경이 꽤 괜찮아서 굳이 보트를 타고
스노클링 포인트로 가지 않아도 괜찮을 것 같았다.




복어도 발견!
강아지를 닮았다고 해서 도그 페이스 푸퍼라고 하더라.

시계를 보니 시간이 꽤 지나있어서 다시 섬으로 돌아왔다.

마무틱 섬에는 따로 샤워실 없고
야외 간이 샤워장만 있어서 대충 소금기만 헹궈내는 정도로 만족했다.


옷을 말릴 겸 남는 시간 동안 섬 산책을 하기로 했다.



바다 위에 둥둥 떠 있는 부표!
부표 안쪽에서만 놀면 배와 부딪힐 일이 없어 안전하다 :)



햇살이 뜨겁고 덥기는 했지만
맑은 하늘 덕분에 마무틱 섬의 풍경은 정말 예뻤다.

어느덧 돌아갈 시간이었다.



다시 보트에 타고 제셀톤 포인트로 출발!



마무틱 섬에서 제셀톤 포인트까지는 워낙 가까워서
배를 타고 이동하는 시간이 짧아서 좋았다.
일정에 여유가 된다면 마무틱 섬은 다시 방문해도 좋을 것 같다 :)