
2022.07.26. | 나트랑(냐짱) | 스피드보트 호핑투어, 스노클링
냐짱에서 즐기는 스노클링♬
냐짱 여행 2일차 아침


이른 아침부터 해변은 바다 수영을 즐기는 사람들로 붐비고 있었다.
오늘의 일정은 호핑투어!
이번 나트랑 여행에서 유일하게 미리 예약을 해 두었던 투어였다.
그랩을 타고 집결지인 선착장에 도착.
오늘은 투어 인원이 많아서 보트 2대로 나누어서 진행이 된다고 했다.

출발 전 팁을 포함한 투어 비용을 결제하고 주의사항을 안내받았다.
성게는 위험하니 절대 만지지 말 것! +ㅁ+;;

보트를 타고 본격적인 투어 시작!
사람이 많아서 자리가 조금 좁았다 -_-;;

원래 안내받은 일정에는 2곳에서 스노클링을 한다고 되어있었는데,
첫 번째 스노클링 포인트가 조류가 세서 스노클링 하기 좋지 않다고 했다.
두 번째 포인트에서 스노클링을 더 길게 하기로 하고 다음 장소로 이동했다.

지나가면서 본 제비집 채집 장소
제비집이 워낙 고가이기 때문에 사람이 24시간 상주하며 지킨다고 한다.

근처에 가면 새소리가 들리는데
아마도 스피커로 새소리를 재생 중인 것 같다고...ㅎㅎ;


드디어 스노클링을 할 장소에 도착했다.

안전을 위해 우리가 타고 온 보트를 조금 더 큰 배에 고정했다.
화장실도 있으니 자유롭게 왔다 갔다할 수 있다 했다.
스노클 장비를 대여해 주는 동안
우리는 챙겨온 개인 장비를 착용하고 바로 입수했다.



구름이 꽤 많은 편이라 시야가 좋지 않을까 걱정했었는데
생각보다는 잘 보이는 편이었다.



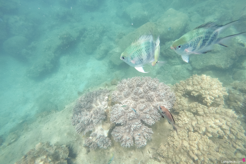
엄청난 가시를 자랑하는 성게도 보였다.
만지면 많이 아플 듯...-_-;;



생각보다 물고기는 많은 편이었다.


가이드가 나눠준 빵을 들고 있으니
주변에 물고기들이 슬금슬금 다가온다 ㅎㅎ



수온도 적당히 따뜻해서 스노클을 즐기기 좋은 날이었다.



약간 뿌옇기는 하지만 생각했던 것보다는 괜찮은 듯!



오래간만의 스노클링이라 그런지 더 신남♪




확실히 산호 주변에 물고기들이 많은 것 같다.



자그마한 물고기들이 꽤 많이 보였다.

너무 멀리 떨어지지 않도록 가끔 고개를 들고
타고 온 보트의 위치 확인은 필수!




중간에 가이드님께 프리다이빙을 하는 방법도 배웠다.
물론 잠깐 배운거라 제대로 하려면 나중에 강습을 받아야 할 듯...ㅎㅎ



구석구석 잘 살펴보면 꽤 다양한 종류의 물고기를 발견할 수 있다.


큰 물고기가 없는 것은 조금 아쉽지만...ㅎㅎ


이번 냐짱 일정에서 호핑투어는 한 번뿐!




아쉽지 않게 놀아야 한다는 일념으로
정말 한 시간 동안 쉬지 않고 돌아다녔다.

잠시 고개를 들고 상황을 보니
배로 하나둘 복귀하는 분위기였다.


시간이 정말 금방 지나간 것 같다.
열심히 움직였으니 이제는 배를 채울 시간입니다 :)
'해외여행 > 나트랑 2022' 카테고리의 다른 글
| 나트랑(냐짱) | 열대과일 스무디 전문점, 브이프룻(vFruit) (0) | 2022.10.26 |
|---|---|
| 나트랑(냐짱) | 나트랑 시내, 쉐라톤 나트랑 호텔(Sheraton Nha Trang) (1) | 2022.10.20 |
| 나트랑(냐짱) | 나트랑 맛집투어! 리빈 콜렉티브(LIVIN Collective) BBQ (0) | 2022.10.05 |
| 나트랑(냐짱) | 스피드보트 호핑투어, 덤베이(Dam Bay) (0) | 2022.09.28 |
| 나트랑(냐짱) | 시푸드뷔페 응온갤러리(NGON Gallery restaurant) (0) | 2022.08.25 |
| 나트랑(냐짱) | 나트랑 마사지샵 센스파(Sen Spa) (0) | 2022.08.23 |
| 나트랑(냐짱) | 아이리조트 머드스파 (0) | 2022.08.16 |
| 나트랑(냐짱) | 나트랑 맛집투어! 곡하노이(Góc Hà Nội) (0) | 2022.08.08 |